Welcome to ActonBridge.Org "Hazlehurst Close" Page

Edition of 4. July 2017.

Please note that views expressed here are not necessarily those of Acton Bridge Parish Council.

Station Road Nursery Site - new Planning Application
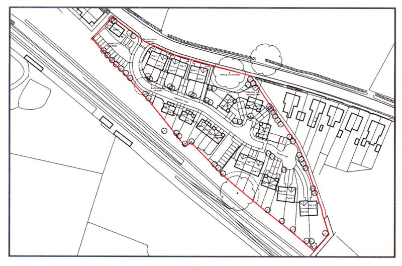
A Planning Application (ref 17/01729/FUL) was submitted to Cheshire West & Chester Council for 17 dwellings of various sizes on the plot which used to be the Nursery / Garden Centre, and was discussed during the Parish Council Meeting and its AGM on 16. May. About 17 members of the public were in attendance to voice their opinions about the proposed development.
This Application was withdrawn on 20.June, but a new Planning Statement appeared on the CWAC website on the same day. This Statement makes some startling assertions about the Parish Council's role in the matter, and refers to discussions taking place (which didn't) and opinions being expressed (which weren't) before the Application was submitted. It's the Parish Council's long-standing principle not to enter into pre-Application discussions with, or express opinions to, developers, for precisely the reason that any such remarks could be taken out of context. The Parish Council's formal responses to CWAC on this and other Applications are the only documents having any legal standing.

Although the "Hazlehurst" name does not appear in the formal application, we'll keep the information on this page for the sake of continuity.

You can read details of the developer's proposals on the CWAC planning website by following this link and clicking on "Documents" tab, followed by "View associated documents" and then clicking on the documents referenced there. Some are quite large (such as the 35-page Transport Statement) and will take time to analyse. Comments can be made on-line via the "Comments" tab.


This page of the Acton Bridge website hosted discussion of the "Hazlehurst Close" proposal to build 29 houses on the land that was previously the garden centre and the adjacent field, in Station Road, Acton Bridge. At the time of writing, no Planning Application has been lodged with Cheshire West and Chester Council.

Update 23. November 2016 - the Parish Council has published some notes from the public meeting on 3. November, which you can read here. We shall be updating this page from time to time, so please call back.

Our photo above shows the field at the south-eastern end of the proposed development site, washed over by the Green Belt and currently a paddock, looking north-west from the public footpath. The West Coast Main Line Railway and Acton Bridge Station are to the left, and the nursery / garden centre lies behind the trees, beyond the stable block. The gable of the Hazel Pear Inn is just visible through the trees.

The Google Earth image (© Google 2016) below shows the site as it is now.

The maps are reproduced from the brochure and questionnaire distributed by the Agents for the developer, Messrs Fifield Glyn, for identification purposes only.

It appears that several residents have not received a copy of the Fifield Glyn brochure, so we have made a scan available as a PDF, which you can download by clicking here.


Acton Bridge Parish Council has distributed a flyer, as follows:-

"You will be aware, from the information leaflet delivered to all properties in the Village, of the proposal to build 29 houses on the land that was previously the garden centre and the adjacent field.
"No formal Planning Application has been submitted as yet to CW&C. To assist in making their response when the Application is received, the Parish Council will hold a meeting to hear the views and opinions of the residents so that the Council can respond accordingly.
"The meeting will be held in the Parish Rooms on Thursday 3. November 2016 at 7:30pm. All residents are invited to attend."


Here are a couple of photos from the meeting, which was attended by about 70 residents, plus the Parish Council and one of our Borough Councillors, an excellent turnout on a dark and wet November evening.

The Parish Council has published some notes from the meeting, which you can read here. We shall be updating this page from time to time, so please call back.


Site directory E-mail address Click on the house for ActonBridge.Org Home Page Home page Website © Copyright
[Site directory] [E-mail address]